Building Plot, Kettlethorpe Lane, Kettlethorpe, Lincoln, LN1 2GZ
Address
Open on Google Maps-
City: Lincoln
-
County: Lincolnshire
-
Area: Kettlethorpe
Overview
- Land Residential
- 2.02
Details
Updated on December 14, 2025 at 3:09 pm-
Land Area 2.02
-
Property Type Land Residential
-
Property Status Sold STC
Description
Location
Detailed Description
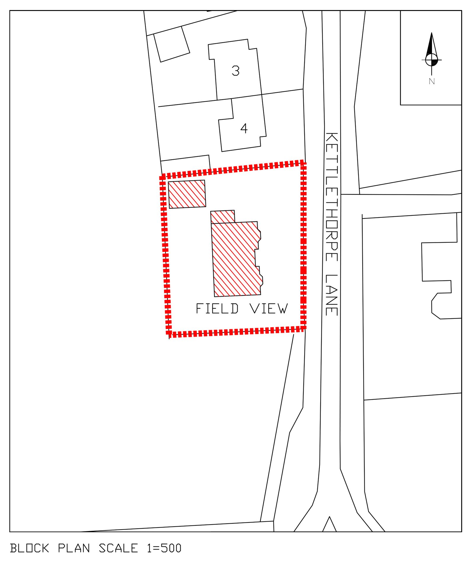
A stunning 5 acre tree lined site which comprises of around 0.16 of an acre plot with an adjoining 4.84 acre grass paddock with mature trees and hedged boundaries. The proposed accommodation will extend to around 2,256 sq ft and offer a large open plan kitchen/Diner, lounge, snug, utility and entrance hall to the ground floor. The first floor will offer four double bedrooms, two en-suite bathrooms and a family bathroom. Outside will offer formal landscaped gardens, off street parking and a detached garage measuring 303 sq ft.
Location
Directions – LN1 2GZ
From the A156 Lincoln Road proceed into the village of Fenton and turn left towards Kettlethorpe. Stay on Kettlethorpe Road and proceed into the village where the plot can be found on your right.
https://what3words.com/spades.multiples.early
Other
TOWN & COUNTRY PLANNING
The site was granted outline planning permission on the 24th July 2000 by West Lindsey District Council for the erection of two dwellings under application number M00/P/0399. This was then followed by approval of reserved matters for one of those dwellings under application M03/P/0824 on the 22nd August
2003.
The site has some previously poured foundations for a four bed detached property which were inspected by West Lindsey District Council in 2005 making the site live.
On the 22nd September 2025 under application number WL/2025/00700 West Lindsey District Council granted a Certificate of lawful development (existing) to confirm that a material start has been made in association with Condition 1 of Reserved Matters Approval M03/P/0824.
There is also a current application to WLDC to discharge the materials and drainage conditions. Details of this will be available via the WLDC website or the selling agent.
EASEMENTS WAYLEAVES & RIGHTS OF WAY
The property is sold subject to, and with the benefit of, all existing easements, wayleaves and rights of way whether or not specifically mentioned in this catalogue.
VIEWING
The land may be viewed on foot only during daylight hours.
BUYER IDENTITY CHECK
Please note that prior to acceptance of any offer, Brown&CoJHWalter are required to verify the identity of the buyer to comply with the requirements of the Money Laundering, Terrorist Financing and Transfer of Funds (Information on the Payer) Regulations 2017. Further, when a property is for sale by tender, an ID check must be carried out before a tender can be submitted. We are most grateful for your assistance with this.
Summary
Key points
- Stunning 5 acre tree lined site
- 0.16 acre building plot
- 4.84 acre paddock
- Planning for 4 bed detached house
- 2,256 sq ft
- Detached garage
Contact
Brown & Co
Tel: 01522 504318
James Mulhall
james.mulhall@brown-co.com
https://www.brown-co.com
EPC
Property Documents
Schedule a Tour
Your information
Contact Information
View Listings- Brown & Co
- 01553 778068
Enquire About This Property
Similar Listings
Dutch Barn Development Site, Hethel Road, Wreningham, Norwich, NR16 1BE
Dutch Barn Development Site, Hethel Road, Wreningham, Norwich, NR16 1BE, Norwich, Norfolk, WreninghamLocation Development plot within easy reach of Wymondham & Norwich Permission for...
Yard And Paddock Land At Dean Farm, Main Street, Singleborough, Milton Keynes, MK17 0RF
Yard And Paddock Land At Dean Farm, Main Street, Singleborough, Milton Keynes, MK17 0RF, Milton Keynes, Buckinghamshire, SingleboroughLocation DEAN FARM Singleborough, Milton Keynes, MK17 0RF Approximately 64.92 Acres (26.27...
Potential Plot Dean Farm, Main Street, Singleborough, Milton Keynes, MK17 0RF
Potential Plot Dean Farm, Main Street, Singleborough, Milton Keynes, MK17 0RF, Milton Keynes, Buckinghamshire, SingleboroughLocation DEAN FARM Singleborough, Milton Keynes, MK17 0RF Approximately 64.92 Acres (26.27...
Land West Of Homeleigh, Fen Road, Stickford, Boston, PE22 8HA
Land West Of Homeleigh, Fen Road, Stickford, Boston, PE22 8HA, Boston, Lincolnshire, StickfordLocation 1.59 acre development site with outline planning – 2 large detached...
Sycamores, Hempton Road, Deddington, Banbury, OX15 0QG
Sycamores, Hempton Road, Deddington, Banbury, OX15 0QG, Banbury, Oxfordshire, DeddingtonLocation Lot 3: The Deddington Estate Banbury, Oxfordshire Approximately 35.26 acres (14.27...
Grove Farmhouse, 22 Rowsham Road, Bierton, Aylesbury, HP22 5DZ
Grove Farmhouse, 22 Rowsham Road, Bierton, Aylesbury, HP22 5DZ, Aylesbury, Buckinghamshire, BiertonLocation Lot 1: The Hulcott Estate Aylesbury, Buckinghamshire Approximately 346.80 acres (140.35...
Land At North Park Farm, North Park Lane, Godstone, RH9 8ND
Land At North Park Farm, North Park Lane, Godstone, RH9 8ND, GodstoneLocation Lot 2: Land at North Park Farm Godstone, Surrey Approximately 133.63...
Strategic Rural Portfolio, Deddington, Banbury, OX15 0QJ
Strategic Rural Portfolio, Deddington, Banbury, OX15 0QJ, BanburyLocation STRATEGIC RURAL PORTFOLIO FOR SALE In all approximately 208.70 hectares (515.70...